Antic Shop

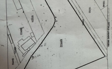
Teren intravilan 12216 mp de vanzare VETIS

De vanzare teren intravilan cu suprafata de 1.22 ha , situat la intrare in localitatea Vetis. Frontul la strada principala este de 31 mp si 162 m la strada secundara. Toate utilitatile exista la strada principala si o parte dintre utilitati sunt introduse si pe strada secundara.
Terenul este ideal pentru parcelare (posibilitate dezmembrare in 15 locuri de casa) , activitati comerciale sau alte destinatii.
Pret: 225.000 eur neg

  • 12216 mp2
CARACTERISTICI:
  • Intravilan

  • Apa

  • Gaz

  • Curent

  • Canalizare

2256 , Activ
sau ia legatura cu unul dintre agentii nostrii:

Tamas

Agent Imobiliar

Manager Vanzari

0723 490 654

Ildiko

Agent Imobiliar

0722 412 714

Anunturi Similare

  • DE VANZARE
    • 5250 mp2
    • Front 50m
    Teren intravilan 5250 mp de vanzare VETIS VETIS zona VETIS

    De vanzare teren intravilan industrial situat in loc. Vetis zona Fabricii Unicarm , cu o suprafata totala de 52.5 ari. Terenul dispune de doua fronturi , font de 50 m la strada principala asfalatata si front de 150 m la strada secundara agricola. Utilitati: apa , gaz , curent si canalizare in fata terenului. Teren ideal pentru depozite , hale , institutii , servicii , fabrici , etc. Pret: 75.000 eur neg

  • DE VANZARE
    • 2500 mp2
    • Front 0m
    Teren 2500 mp de vanzare VETIS VETIS zona VETIS

    De vanzare teren extravilan situat in localitatea Vetis langa lac cu suprafata de 2500 mp. Teren ideal pentru gradina , recreere sau cabanuta/terasa. Pret: 22.000 eur neg

  • Ai un imobil de vanzare ?

    Contacteaza-ne si listeaza-ti imobilul aici
  • CONTACTEAZA-NE

Serviciile Noastre

Va ajutam cu urmatoarele servicii ....

  • Vanzari apartamente si garsoniere - alege imobilul care ti se potriveste dintre anunturile noastre din orasul Satu Mare. Vezi Ofertele

    Apartamente
  • Vanzari case si vile - alege imobilul care ti se potriveste dintre anunturile noastre din Judetul Satu Mare. Vezi oferte

    Case
  • Vanzari terenuri intravilane , extravilane , industriale si locuri de casa - alege terenul care ti se potriveste dintre anunturile noastre din Judetul Satu Mare. Vezi oferte

    Terenuri
  • Asistam la intocmirea actelor la birouri notariale, contracte de vanzare-cumparare, contracte de inchirieri, mosteniri , etc. Citeste mai mult

    Rezolvarea Actelor

© 2026 Santai Imobiliare by Creative Stuff